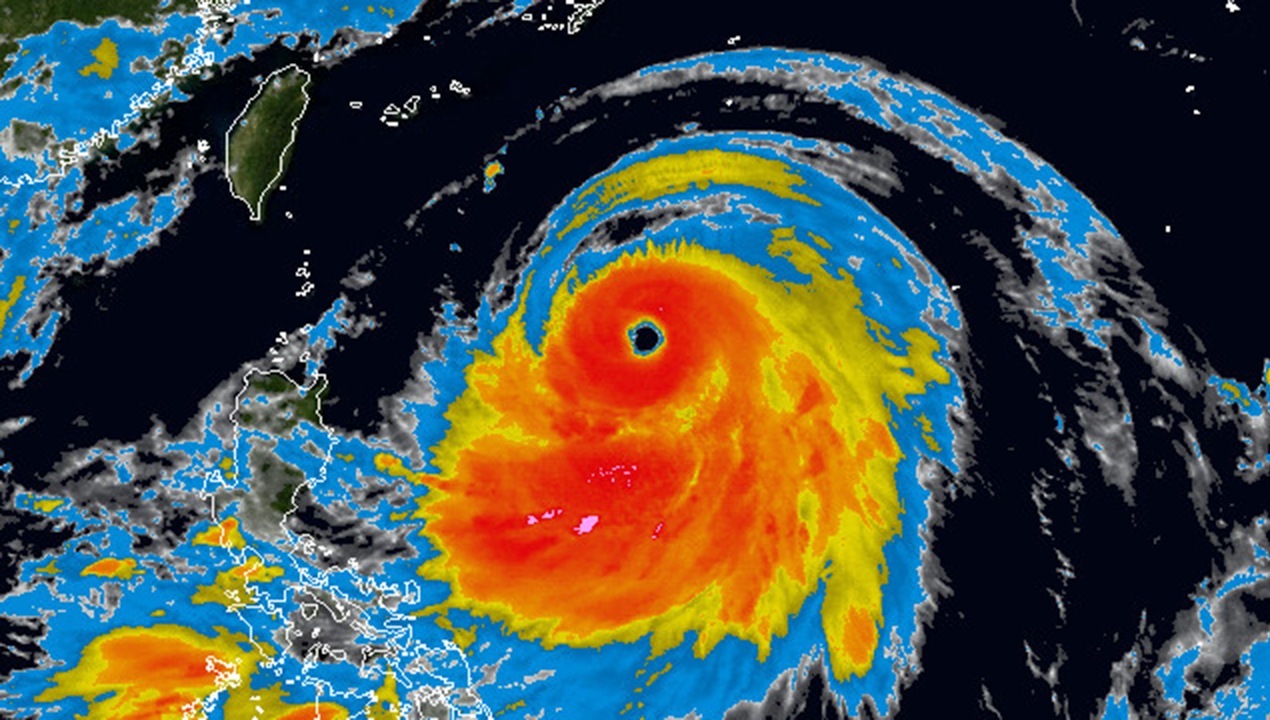
Vanuatu u velikom strahu uoči dolaska ciklone Pam
Golema oluja uskoro će
se obrušiti na južnopacifičku otočnu državicu Vanuatu, praćena vjetrom s
udarima brzine do 240 kilometara na sat, zbog čega opasnost prijeti
gotovo cijelom stanovništvu otoka – 260 tisuća ljudi, objavile su u
petak humanitarne agencije.
Vanuatu je pozvao svoje stanovnike da potraže zaklon uoči
dolaska ciklona Pam, jednog od najsnažnijih ikada u tom području koji bi
mogao uzrokovati snažne poplave i klizišta. Vlasti su izdale crvenu,
najvišu razinu upozorenja, na teritoriju cijelog otoka.
– Uzroci za zabrinutost su mogući veliki ljudski gubici, ali i
enormne razine uništenja – rekao je Sune Gudnitz, voditelj pacifičkog
ureda UN-ove agencije za pomoć u kriznim stanjima UNOCHA.
Vlada je napravila krizne planove za više od 220 tisuća ljudi,
gotovo cijelu populaciju Vanuatua, uputivši ih da sklonište potraže u
školama i crkvama.
Oluja kategorije 5 mogla bi uništiti brojne domove siromašnih
stanovnika izrađene od slabih materijala poput slame i valovitog lima,
potpuno neotporne na snažne vjetrove i poplave, a obično najprije
stradaju plantaže koje stanovnici obrađuju pa bi posljedice Pam mogle
biti katastrofalne.
Snažna oluja popraćena žestokim vjerovima i poplavama već je
pogodila otoke Tuvalu, Kiribati i Solomonsko otočje, uzrokujući značajne
štete.


